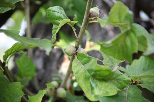
갈참나무
학명










추가 사진
갈참나무 관련 게시글
갈참나무
갈참나무유리나방
참나무잎벌
참나무잎벌 대화형 가이드 개요 형태 피해 증상 생활사 방제 방법 참나무잎벌 (Oak Leaf Sawfly)이란? 참나무잎벌은 벌목 잎벌과에 속하는 해충입니다. 유충이 […]
참나무시들음병
참나무시들음병 대화형 가이드 개요 병원체 및 매개충 형태 피해 증상 생활사 및 전파 방제 방법 참나무시들음병 (Oak Wilt)이란? 참나무시들음병은 Raffaelea […]
대왕참나무
Quercus palustris Münchh. 원산지: 미국 과명: 참나무과 (Fagaceae) 속명: 참나무속 (Quercus) 영명: Pin Oak 수형: 둥근 원추형의 낙엽활엽교목 수고: 20 […]
