이팝나무 혹응애 (Eriophyes chionanthi)란?
이팝나무 혹응애는 혹응애과에 속하는 해충으로, 이팝나무의 잎과 신초에 벌레혹(충영, Gall)을 형성하는 것이 특징입니다. 크기가 매우 작아 육안으로는 거의 보이지 않으며, 벌레혹 속에서 집단으로 서식하며 즙을 빨아먹습니다.
- 기주식물 (Host): 이팝나무, 좀이팝나무, 섬이팝나무 등 이팝나무속 식물
- 주요 피해: 잎과 신초에 형성된 벌레혹으로 인한 미관 훼손 및 생육 저하
피해 특징
벌레혹을 형성하여 미관을 크게 해치지만, 나무를 직접적으로 말라 죽게 하지는 않습니다. 그러나 피해가 심할 경우 광합성 능력 저하로 수세가 약해질 수 있습니다.
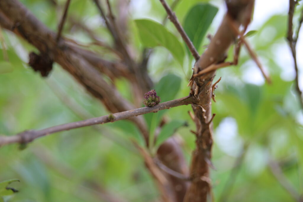
주요 증상 (벌레혹)
피해는 잎과 줄기에 형성되는 독특한 모양의 벌레혹(Gall)으로 나타납니다.
혹응애의 형태
이팝나무 혹응애는 크기가 매우 작아 육안으로 관찰하기 어렵고, 현미경으로만 형태를 확인할 수 있습니다.
- 성충: 몸길이는 약 0.15~0.2mm로, 몸은 길쭉한 구더기 모양이며 유백색을 띱니다. 다리는 2쌍(4개)만 가지고 있는 것이 특징입니다.
- 알 및 약충: 성충과 마찬가지로 매우 작으며, 주로 벌레혹 내부에서 발견됩니다.
이팝나무 혹응애 생활사
혹응애는 눈(芽) 속에서 월동하고, 봄에 새순이 자라면서 활동을 시작합니다.
1. 월동 (겨울)
성충 상태로 이팝나무의 눈(冬芽) 속에서 겨울을 보냄.
2. 이동 및 가해 (봄, 4월)
봄에 새순이 나오기 시작하면, 월동처에서 나와 새순으로 이동하여 즙을 빨아먹기 시작함 (방제 최적기).
3. 벌레혹 형성 및 증식 (봄~여름, 5~7월)
응애의 가해로 식물 조직이 비정상적으로 자라 벌레혹이 형성됨. 응애는 벌레혹 안에서 세대를 반복하며 증식함.
4. 월동처 이동 (가을, 8월 하순~)
벌레혹이 갈색으로 변하고 마르면, 응애는 벌레혹에서 빠져나와 다음 해 겨울을 보낼 눈 속으로 이동함.
효과적인 방제 방법
방제는 응애가 월동처에서 나와 새순으로 이동하는 시기에 맞춰 예방적으로 실시하는 것이 가장 중요합니다.
① 물리적 방제
- 피해 가지치기: 벌레혹이 형성된 잎과 가지를 잘라내어 소각하거나 땅에 묻어 제거합니다. 이미 형성된 벌레혹 안의 응애는 약제 방제가 어려우므로, 물리적 제거가 효과적입니다.
② 화학적 방제 (살비제 살포)
- 1차 방제 (최적기): 월동한 응애가 새순으로 이동하는 시기인 4월 상순~중순에 약제를 살포하는 것이 가장 효과적입니다.
- 2차 방제: 1차 방제 후 약 10일 간격으로 1~2회 추가 살포하여 방제 효과를 높입니다.
- 방제 약제: 이팝나무 혹응애에 직접 등록된 약제는 없으므로, 다른 수목의 응애류에 등록된 살비제(아바멕틴, 페나자퀸 등)를 사용합니다. 반드시 전문가의 진단과 처방에 따라야 합니다.
- 월동기 방제: 겨울철(2~3월)에 기계유유제를 살포하면 월동하는 응애의 밀도를 줄일 수 있습니다.
이팝나무 혹응애 발생 및 방제 시기





